


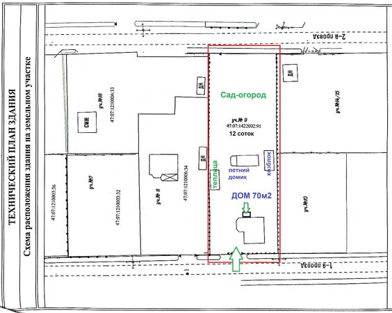
Двухэтажный теплый дом из газобетона в 10 мин от КАД рядом с Озером и лесом ИЖС! Дом построен Дом построен по проекту "ФРЕЙМ" 153 м² плюс терраса 17 м² , всего 170 м² на 12 сотках с отличной продуманной планировкой. На первом этаже просторная кухня-гостиная 37 м² с выходом на террасу, гостевая спальня/кабинет, санузел, гардероб, котельная На втором этаже комфортная мастер-спальня 23 м²со своим санузлом и гардеробом, две отдельные спальни по 16 м² и 14 м², санузел Современная планировка создавалась архитекторами так, чтобы отсутствовали любые потери полезной площади! В доме достаточно пространства, зон для отдыха, работы и хранения. Вокруг единый архитектурный стиль. Рядом живописное озеро в 3 минутах пешком и лес. При этом дома находятся в 10 минутах от города Дома поселка расположены в д. Озерки на Колтушкской возвышенности. Граничит с поселками: Хапо-Ое, Мяглово, Новая Пустошь, Ексолово Очень удачная локация! Участок дома "Фрейм" высокий, сухой и просторный - 10 мин и 12 км до Санкт-Петербурга по Мурманскому шоссе - 15 мин. до м. Дыбенко или м. Ладожская (ходят электрички и маршрутки от поселка) - 300 метров до чистейшего живописного озера с песочным пляжем! в котором можно купаться и ловить рыбу - асфальтовая дорога до самого дома, никакой грунтовки - рядом смешанный лес с большим количеством грибов и ягод - до Коркинского озера 15 мин - до горнолыжного курорта "Лазурные озера" 15 мин - "Пятерочка", "Магнит", пекарни , аптека, пункты выдачи Wildberries и Ozon, мясные лавки, кафе в пешей доступности в 200 метрах - Менее 2 км до детского сада Разметелевская школа (дошкольное учреждение), школа в Разметелево - есть развозка школьным автобусом! Дом 153 м² из газобетона 400 мм, на фундаментной плите 300 мм. Фасад: штукатурка и натуральный планкен. Дом продается в базовой и полной комплектациях: теплый контур, все коммуникации, включая магистральный газ и собственную скважину - уже включены в стоимость Строим с упором на качество с соблюдением всех строительных норм! Все пожелания по ремонту можно включить в ипотеку. Возможны все комплектации дома Красивые и комфортные дома во Всеволожском районе с отличной планировкой и панорамными окнами. Записывайтесь на индивидуальный показ! Понравился дом? Добавьте объявление в Избранное, чтобы не потерять! Пишите, звоните Отличный дом, участок 12 соток в Всеволожском районе Ленинградской области.

























































































































































